The Lung Cancer challenge

Lung cancer is highly genetically diverse, and studies require a wide array of biomarkers along with comprehensive molecular profiling.

Our specialists support comprehensive lung cancer studies from discovery through phase III registration trials, providing the advanced molecular testing capabilities and regulatory expertise necessary for developing treatments that can transform outcomes for patients with this aggressive disease.

Here’s an overview of the unique solid tumour offerings at HBRI:

Unique offerings for your Lung Cancer trial

DNA / RNA

NGS, oncopanels, broad panels, custom panels
RNA seq
Single-gene
ctDNA-based panels
ddPCR, qPCR
Whole exome / whole genome
HLA typing
TCR / BCR seq
NanoString®
SNP-array
DNA/RNA extraction
Streck Cell-Free DNA BCT®
PaxGene®, Qiamp Kits

Routine/Safety

Coagulation
Hematology
Biochemistry
Urinalysis
Pregnancy test
COVID test
Serology
Thyroid function
HbA1c
Protein electrophoresis (sPEP.
UPER SELC)
Tumor markers
Drug screens

Antibodies,,Immunoglobulin,Ig,Proteins,3d,Medical,Background.,Immune,System,,Igm,
Protein

Large portfolio of ligand
binding assays
ELISA
ELLA
ECLIA
MSD
ELISpot
FlureSpot
PK/ADA/Nab
Multiplex cytokine profiling (37-plex)

Cell

FCM
Spectral flow (Cytek Aurora)
Immunophenotyping (including intra-cell markers)
Receptor occupancy
MRD detection (for MM only)
CAR T cell enumeration
CAR T cell phenotyping
Intracellular cytokine detection
PBMC isolation
BMMC isolation
Optical genome mapping, our next-generation cytogenetics
PKIADA/Nab

Tissue

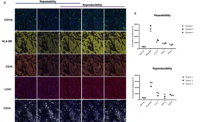
Multiplex / simplex IHC
250+ biomarkers/protocols
Full histopath service
Halo®, Visiopharm®, Al experiments
Board certified pathologists
Large biobank
Strong immuno-oncology simplex & multiplex panels
Spatial analysis of the tumor microenvironment
NanoString® GeoMx, FISH, ISH

We recommend starting engagement with our scientific team early, such as at the protocol design phase, for optimal results. We’re ready to discuss your needs.

Biomarkers in Lung Cancer

With NCCN guidelines emphasizing that ‘broad molecular profiling is a key component of the improvement of care of patients with NSCLC, the complexity of testing for EGFR, ALK, ROS1, BRAF, KRAS, MET, RET, NTRK, and PD-L1—along with emerging targets—requires a laboratory partner with unparalleled expertise in next-generation sequencing, immunohistochemistry, and FISH methodologies.

The shift toward NGS as the “most commonly used testing method” means finding the right collaborator becomes essential for navigating the intricate landscape of lung cancer biomarker detection.

Here’s how our testing capabilities support your lung cancer trials:

HBRI supports Lung Cancer biomarker guidelines

Lung Cancer Biomarkers Most Commonly Deployed(1-4) HBRI NGS HBRI IHC HBRI FISH
EGFR NGS, RT-PCR
ALK NGS, IHC, liquid biopsy
ROS1 NGS
BRAF NGS, RT-PCR, Sanger sequencing
KRAS NGS, RT-PCR, Sanger sequencing MEK1
MET NGS, RNA-based NGS
RET NGS, RNA-based NGS
NTRK1/2/3 NGS, RNA-based NGS
EGFR T790M NGS, RNA-based NGS
PD-L1 IHC ✔(clones 22C3, SP142, SP263 multiplexed)
HER2 NGS

1.NCCN guidelines 2024; 2.Bebb et al. Curr Oncol 2021; 3.Cabillic et al. ESMO Open 2018;3(6):e419; 4.Li et al. J Nat Cancer Center 2021; †HBRI Data In-house mostly available through the ACTOnco®/Cerba France/Cerba US NGS panels or CR Montpellier/NY (IHC) or Cerba France (FISH); *Validation level may vary; IHC=immunohistochemistry; NGS=next-generation sequencing; FISH=fluorescence in situ hybridization

We have ~160 targets/protocols/clones (clones and validation status available upon request)

ABCC4 CD22 Collagen I HER-2 LAG-3 Pan-TRK TCRgd
Adipophilin CD25 Collagen III HIS Lambda PD-1 TIM-3
ALK CD3 Collagen VII HLA-DR LIF PD-L1 Tissue Factor
ALPP CD30 Connexin 43 HPGD MASH1 PHH3 TNFa
AMH CD31 CTLA-4 HulgG MEK-1 PMS2 TNFR2
aSMA CD38 CXCL12 IDO MLH-1 PR TNFRSF14
BRAF V600E CD39 DLL3 IFNγ MSH2 PTK7/CCK4 TROP2
BrdU CD4 E-Cadherin IL-10 MSH6 RET Vimentin
CAIX CD44 EGFR IL-13 Muc5ac ROR1 VRK1
CC-10 CD45 Elastin IL-7 Muc5b ROS1 XBP-1s
CCR8 CD45RO EP4R IL-1a NCR1/NKp46 SCN5A YAP
CD11B CD47 EpCAM IL-1b Nectin-1 SIRPa
CD123 CD52 ER IL-1RAP Nectin-4 SKN1
CD138 CD56 FAP IL-22 Neutrophil Elastase SLCO2A1/PGT
CD155 CD68 FGFR3 IL-23 OX40 SLFN11
CD16 CD8 FoxA3 IL-33 OX40L SPDEF
CD163 CD99 FoxP3 IL-34 p16 Taz
CD163 CK16 GM-CSF INSM1 p53 TCF4
CD19 Cleaved Caspase 3 Granzyme B Kappa Pan-Keratin TCL1
CD20 cMet H. Pylori Ki-67 Pan-TEAD TCR Vy9

*Validation levels of biomarkers will vary depending on intended use; This list is not exhaustive – contact us for further information on a specific biomarker or panel; Updated 13 May 2025 from the CRM test menu

We have ~30 panels (clones and validation status available upon request)

Adipopphilin/CD138/CD45 CD20/XBP1s mPGES-1/PTGES
BCMA/CXCR3/CD20/CD138/CD3 CD68/CD163 NKp46/CD8/Granzyme B/TCRyõ
CCR8/TNFR2 CD68/CD163/PD-L1/EP4R/PanCK PanCK [AE1/AE3)
CD3/CD8/FoxP3 CD68/PD-L1/PanCK Panel M1/M2 (PSTAT1/cMAF/CD68/CD163)
CD3/CD8/FoxP3/EP4R/PanCK CK8/CK18 TCF4/CD123
CD3/CD11b/CD47/SIRPa Elastin/Vimentin
CD3 /CD16/CD56 EP4R/Cox2/mPGES-1/PanCK
CD3/FoxP3 Ki-67/Granzyme B/CD8
CD4/GATA-3/CD3/FoxP3 Langerin/CD1a
CD8/CD39 MCP-1/CCL2

*Validation levels of biomarkers will vary depending on intended use; This list is not exhaustive – contact us for further information on a specific biomarker or panel; Updated 13 May 2025 from the CRM test menu

Our experience in the Lung Cancer landscape

DNA

638

NGS broad-panel assay with our OncoSign 600+

50

Genes with our OncoSign ctDNA panel

250+

Histopathology analysis with biomarkers such as ALK, c-MET, PD-L1 run in CLIA accredited laboratories

Antibody-B

3

Validated PD-L1 clones (e.g. 22C3, SP142, SP263)

We recommend starting engagement with our scientific team early, such as at the protocol design phase, for optimal results. We’re ready to discuss your needs.